Если цена в объявлении изменится, мы сразу сообщим вам об этом на электронную почту.
Нажимая «Подписаться», вы соглашаетесь с правилами.
продам земельный участок, Артем1 500 000 ₽
20 янв
Дата публикации объявления
Обн. 2 апр
Дата обновления объявления
247 934 ₽/сотку
Параметры
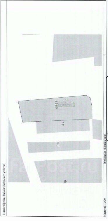
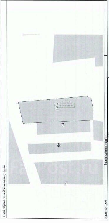
Площадь участка6,05 соток
Арт. 128642175 Рассмотрим обмен на Автомобиль. А так же обмен на гараж в Артеме. Продается земельный участок в Артеме. Предлагаем к покупке отличный участок или к обмену , расположенный по адресу: Приморский край, г. Артем, ул. Шахтовая, дом 95.
Особенности участка: Площадь: 605 +/- 9 кв. м. Характеристики: ровный и сухой участок, идеально подходящий для строительства. Коммуникации: возможность подключения электроэнергии и подведения централизованного водоснабжения. Окружение: рядом находятся жилые дома, что гарантирует удобное социальное окружение. Транспортная доступность: хорошие подъездные пути. Удобный заезд как с федеральной трассы Владивосток-Находка, так и со стороны г. Артёма.
Арт. 128642175 Рассмотрим обмен на Автомобиль. А так же обмен на гараж в Артеме. Продается земельный участок в Артеме. Предлагаем к покупке отличный участок или к обмену , расположенный по адресу: Приморский край, г. Артем, ул. Шахтовая, дом 95.
Особенности участка: Площадь: 605 +/- 9 кв. м. Характеристики: ровный и сухой участок, идеально подходящий для строительства. Коммуникации: возможность подключения электроэнергии и подведения централизованного водоснабжения. Окружение: рядом находятся жилые дома, что гарантирует удобное социальное окружение. Транспортная доступность: хорошие подъездные пути. Удобный заезд как с федеральной трассы Владивосток-Находка, так и со стороны г. Артёма. Расстояние до центральной трассы составляет всего 840 метров.
Участок подходит под все виды льготных ипотек — Дальневосточная, Семейная, Госпрограмма поддержки
Мы предоставляем полное юридическое сопровождение сделки! Проконсультируем по всем ипотечным программам и поможем подготовить полный пакет документов для подачи заявки на ипотечный кредит прямо из нашего офиса в режиме онлайн. Заявки рассматриваются банком в течение 24 часов.
Не упустите шанс приобрести этот замечательный участок для реализации ваших идей!
Звоните прямо сейчас! Ответим на все интересующие вас вопросы и договоримся о просмотре объекта. Сопровождение сделки покупатель оплачивает отдельно